family CERAMBYCIDAE Latreille, 1802
subfamily LAMIINAE Latreille, 1825
tribe Phytoeciini Mulsant, 1839
genus Oberea Dejean, 1835
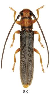
Oberea oculata (Linneus, 1758)
subgenus Oberea Dejean, 1835

Velikost 12-21 mm.
Bionomie. Okraje lesů a cest, břehové porosty, neobhospodařované půdy apod. Vývoj v živém dřevě slabších větví a kmínků. Vylíhnuté larvičky vyžírají chodbičky v místě vykladení a pronikají do dřeva. Larvy vyžírají především dřeňové části napadeného dřeva, ale často také žerou ve dřevě, nebo i pod kůrou. Vyhlodanou drť larvy částečně vyhazují otvory ven. Kuklí se především v dřeňové části. Kukelní komůrka je spojená s výletovou chodbou a bývá až 12 cm dlouhá. Přezimují larvy. Vývoj jsem zjistil pouze dvouletý. - Imaga se vyskytují v VI. – VII., maximum od poloviny VI., Vavroušek (1978) uvádí výskyt v Krkonoších do 12.X.1976. Imaga na koncových větvičkách nebo listech, kde provádějí zralostní žír.
Živné rostliny - Salix caprea a některé další blíže neurčené Salix sp.
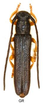
Oberea pupillata (Gyllenhal, 1817)
subgenus Oberea Dejean, 1835

Velikost 13-18 mm.
Bionomie. Částečně lokality s přirozeným výskytem Lonicera sp., ale především parky, „živé“ ploty kolem zahrad apod. Vývoj v živém dřevě. Larvy vyžírají podélné chodby, zejména v dřeňové části, zde se také kuklí. Kukelní komůrka je oddělená hrubými třískami. Přezimuje v larválním stadiu. Ve stejných větvích se často postupně vyvíjí i více generací, místa po výletových otvorech jsou nápadná zduřenými a zavalenými okraji. Doba vývoje podle Laibnera (1973) jednoletá. Protože jsem nacházel v době rojení imag také velké larvy, předpokládal bych i dvouletý vývoj. - Imaga se vyskytují v VI. - VII., výjimečně koncem V. a v VIII., maximum výskytu je v druhé polovině VI. Imaga na živých rostlinách, na větvičkách a listech, které ožírají.
Živné rostliny - Zřejmě výhradně na různých druzích Lonicera.
Oberea pedemontana Chevrolat, 1856
subgenus Oberea Dejean, 1835





Velikost 12-16 mm.
Bionomie. Lokální druh jižní části střední Evropy. Larvy žijí podobně jako u druhu O. pupillata, vyžírají větvičky a také se tam kuklí. Vyvíjejí se v krušině (Rhamnus frangula), snad také v zimolezu (Lonicera). Imaga na živné dřevině VI-VII.
Oberea maculicollis P. H. Lucas, 1842
subgenus Oberea Dejean, 1835

Oberea linearis Linnaeus, 1761
subgenus Oberea Dejean, 1835

Velikost 11-15 mm.
Bionomie. Okraje lesních porostů, remízy, neobhospodařované půdy. Kemner (1992) uvádí jen několik mm tenké větvičky. Podle Demelta (1966) napadá jednoleté výhonky, na které klade vajíčko do vyhlodané dírky ještě zeleného výhonku. Samička okroužkuje větvičku nad vajíčkem a ta pak odumírá a odpadne. Larva žere nejdříve pod kůrou a později v dřeni, kde se také kuklí, když předtím vyhlodala výletovou chodbu a ucpala výletový otvor. Doba vývoje je dvouletá. Přezimuje jako larva. - Imaga se vyskytují od V. do VII., maximum výskytu je konec V. a počátek VI. Imaga jsou převážně v koruně, za slunečného počasí létají a nasedají na listy, nebo slabé větvičky.
Živné rostliny - Zejména Corylus; Demelt (1966) uvádí dále Juglans, Carpinus, Alnus, Ostrya a Ulmus.
Oberea euphorbiae (Germar, 1813)
subgenus Amaurostoma J. Müller, 1906

Velikost 11-19 mm.
Bionomie. Podle Demelta (1958) vývoj ve stvolech převážně vysokých 50 – 70 cm. Larvy vyžírají vnitřní části stvolů a tam se také kuklí. Doba výskytu podle u nás nalezených imag je od 25.V. do 1.VIII. Imaga na květech, listech a stvolech Tithymalus, kde provádějí také žír.
Živné rostliny - Tithymalus (Euphorbia) palustris (Demelt 1958).
Oberea histrionis Pic, 1917
(syn. moravica Kratochvíl, 1989)
subgenus Amaurostoma J. Müller, 1906

Velikost 11-14 mm.
Bionomie. Především na vlhkých lokalitách lužních porostů a mokřadech. Vývoj ve stoncích Tithymalus, zejména v jejich dolních částech. Larvy vyžírají středovou část obvykle až pod úroveň země, ve stoncích přezimují a také se tam kuklí. - Imaga se vyskytují na živných rostlinách od poloviny V. do počátku VII., maximum výskytu je koncem V. do poloviny VI. Živné rostliny - Tithymalus (Euphorbia) sp.
Oberea (Amauroustoma) euphorbiae Germar, 1813 a moravica Kratochvíl, 1989. V Katalogu (2010) Sama zařadil oba dříve uváděné druhy jako synonyma. Oberea moravica z Moravy se jeví jako jasný druh, stejně jako velmi odlišná Oberea euphorbiae např. z Drösingu.
Oberea erythrocephala (Schrank, 1776)
subgenus Amaurostoma J. Müller, 1906







Velikost 6-15 mm.
Bionomie. U nás vývoj tohoto druhu poprvé zjistil v padesátých letech Šafránek, který připravoval v krabičkách vývojová stadia s ukázkou požerků jako učební pomůcku pro školy. Podle něho byl vývoj larev jednoletý. Všeobecně je vývoj uváděn ve stoncích pryšců spíše v bazální části a kuklení larev v podzemních částech. Podle Kudly (1966) je vývoj v kořenech některých pryšců. Podle Čerepanova (1985) je vývoj larev dvouletý. - Imaga se vyskytují v V.– VIII., maximum VI. především na květech a stoncích Tithymalus (Euphorbia).
Živné rostliny - Tithymalus (Euphorbia) cyparissias.
Variabilita. Variabilita je odlišná nejen na jedné lokalitě, ale také v různých oblastech, zejména jihovýchodu. Jsou velké rozdíly ve zbarvení, chloupkování, tečkování i velikostech. Je otázkou, zda vše patří pod jeden taxon.
Oberea taygetana Pic,1901
subgenus Amaurostoma J. Müller, 1906
Oberea oculata Linneus, 1758 CZ Salix caprea





Oberea pupillata Gyllenhal, 1817 CZ Lonicera



Oberea pupillata Gyllenhal, 1817 AU Lonicera


Oberea histrionis Pic, 1917 (syn. moravica Kratochvíl, 1989) CZ Tythymalus

